二、卵巢性腺间质肿瘤《病理学》

二、卵巢性腺间质肿瘤

本组肿系来源于原始性腺中的性索及间质组织,包括粒层细胞、泡膜细胞、纤维、支持细胞——间质细胞、两性母细胞及伴有环状小管的性索等,大多数能产生性激素,引起相应的临床表现。最常见的是粒层细胞和泡膜细胞

(一)粒层细胞

粒层细胞(granulosa cell tumor)约占卵巢肿的1%~9%,好发年龄为45~55岁,少数也可发生于青春期前或幼女。肿常产生雌激素,在青春期前表现性早熟、乳房增大、出现阴毛和初潮提前等;在青春期后则由于引起子宫内膜增生症而出现月经紊乱。

【病理变化】

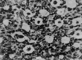
肉眼观,肿呈圆形、卵圆形或分叶状,大小不等,多数小于15cm,表面光滑,常有完整的包膜。切面多为实性,质地稍硬,肿呈黄白色,有些可呈囊性变,常有坏死出血区。多为单侧性。镜下,细胞多呈小圆形或多角形,胞浆少。核圆、椭圆或梭形,核膜清楚,核内常可见纵沟,核染色质细,可见1~2个核仁,核分裂像较少见。组织学类型有以下几种:分化较好的细胞常排列成小卵泡型(图13-20),呈菊形团或小腺泡状,中央为粉染蛋白液或退化的细胞核,称Call-Exner小体;有的排列呈大卵泡型、梁柱型或岛状等;分化较差的细胞常排列呈弥漫型或波纹状、脑回状或肉样构型。

粒层细胞<a href=瘤"/>

图13-20 粒层细胞

细胞排列成小卵泡型,部分细胞核呈现核沟

粒层细胞为低度恶性肿,预后尚好,晚期复发是该的特点。5年存活率为80%~90%,10年存活率为70%左右。转移和复发多发生在腹腔内,远处转移很少。若浸润包膜或破裂,肿可侵及邻近器官或对侧卵巢。

(二)泡膜细胞

卵巢泡膜细胞(theca cell tumor)比粒层细胞少见,其发病率仅为粒层细胞的1/3,占所有卵巢肿的0.5%~1%。也有分泌雌激素的功能,常和粒层细胞混合存在。发病年龄较晚,多数为绝经后妇女,发生在青春期前很少,不到1%。

【病变】

肉眼观,绝大多数为单侧,中等大小,与残留的卵巢组织界限清楚,但无包膜,质硬。切面实性,可有小囊,也有多房者。组织因含脂质而呈浅黄色,间有灰白色纤维组织或类似纤维的旋涡状结构。镜下,细胞形态与正常泡膜细胞相似,胞体形态肥胖呈梭形,胞浆丰富淡染(图13-21)。细胞核卵圆形,无核分裂像。细胞排列紧密,形成宽阔的束带状,呈不规则交错分布或漩涡状排列,其间被大小不等的间质结缔组织条索所分隔。用特殊染色法可见泡膜细胞内含有丰富的类脂质物质,可与纤维鉴别;用银染色法可见网状纤维围绕每个细胞,此与粒层细胞时出现于整个细胞团周围者不同。

卵巢泡膜细胞<a href=瘤"/>

图13-21 卵巢泡膜细胞

在卵巢泡膜细胞样细胞中混杂一些空泡状黄体化细胞

泡膜细胞基本为良性肿,仅有个别复发者,但由于泡漠细胞比粒层细胞分泌更多的雌激素,所以并发子宫内膜的机会比粒层细胞高,因此,术前诊断性刮宫以排除宫内膜病变是必要的。

上一页:一、卵巢上皮性肿瘤
当前页:二、卵巢性腺间质肿瘤
下一页:三、卵巢生殖细胞肿瘤

返回目录